a) Die Ausgestaltung der Viadukte.
Für die Wahl des Systems des Viadukt-Aufbaues war die Forderung maassgebend, dass derselbe in den Strassenzügen den Verkehr möglichst wenig behindern, also in seinem Unterbau möglichst wenig Strassenfläche inanspruch nehmen sollte. Er musste ferner leicht erscheinen, um das Strassenbild nicht zu sehr zu beeinträchtigen und den freien Ausblick nicht zu sehr zu behindern.
Der Erfüllung der letzteren Bedingungen stand dabei die Forderung entgegen, dass die Fahrbahntafel in voller Breite wasserdicht sein und möglichst schalldämpfend hergestellt werden sollte, was nur durch eine in voller Breite geschlossene und mit Kiesschüttung bedeckte, also schwere Fahrbahn zu erreichen war.
Dies ist ein historischer Text, welcher nicht geändert wurde, um seine Authentizität nicht zu gefährden. Bitte beachten Sie, dass z. B. technische, wissenschaftliche oder juristische Aussagen überholt sein können. Farbige Bilder sind i. d. R. Beispielbilder oder nachcolorierte Bilder, welche ursprünglich in schwarz/weiß vorlagen. Bei diesen Bildern kann nicht von einer historisch korrekten Farbechtheit ausgegangen werden. Darüber hinaus gibt der Artikel die Sprache seiner Zeit wieder, unabhängig davon, ob diese heute als politisch oder inhaltlich korrekt eingestuft würde. Lokalgeschichte.de gibt die Texte (zu denen i. d. R. auch die Bildunterschriften gehören) unverändert wieder. Das bedeutet jedoch nicht, dass die darin erklärten Aussagen oder Ausdruckweisen von Lokalgeschichte.de inhaltlich geteilt werden.
Die ersten, grundlegenden Forderungen bedingten für den grössten Theil der ganzen Hochbahnstrecke die Ausführung des Viadukt-Aufbaues und zwar sowohl des Ueberbaues, wie der Stützen in Eisen. Nur ganz ausnahmsweise ist mit Rücksicht auf die Verkehrsinteressen für die letzteren auf der östlichen Strecke als Stützpunkt besonders weiter Spannungen die Ausführung in Stein gewählt worden. Nachdem bereits ein grösserer Theil des Eisen-Viaduktes in der Skalitzer und Gitschiner Strasse aufgestellt war und sich in seiner ganzen Schlichtheit den Blicken darbot, wurde seitens der Stadtgemeinde Berlin gewünscht, die monotone Linie des Viaduktes durch einzelne, kräftig hervortretende und künstlerisch zu betonende Ruhepunkte, also durch Einschaltung von Steinpfeilern, zu unterbrechen. In der westlichen Strecke findet sich daher eine derartige Anordnung, ohne dass die Verkehrsinteressen dadurch beeinträchtigt würden.
Massive Ausführung der Viadukte kommt nur vereinzelt vor. So liegen die zur Untergrundbahn absteigenden Rampen, wie schon erwähnt, z. Th. zwischen Futtermauern, der Endbahnhof Warschauer Strasse liegt theils zwischen Futtermauern, theils auf Wölbungen, und ausserdem sind die hohen Viadukte des Anschlussdreiecks, um ihnen bei geringer Breite noch eine höhere Standfestigkeit zu geben, zum grösseren Theile in Stein erstellt worden.
Von Einfluss auf die Gestaltung der Eisen-Viadukte war ferner ihre Aufgabe, nicht nur die lothrechten Verkehrslasten, sondern auch die in der Längsrichtung wirkenden Bremskräfte und die auf Umsturz wirkenden Wind- und Zentrifugalkräfte sicher aufzunehmen, sowie die Längenänderungen infolge der Temperatur-Schwankungen in einfacher Weise auszugleichen. Aus diesen verschiedenen Anforderungen ergab sich unter möglichst günstiger Materialausnutzung die gewählte Form der Viadukte, deren streckenweise gleich lange Felder abwechselnd aus mit den Stützen fest verbundenen Trägern mit überstehenden Enden und dazwischen lose eingehängten Trägern bestehen. Jedes Gleis wird dabei nur von einem Hauptträger gestützt. Die beiden Hauptträger der festen Felder sind unter sich sowie mit den Stützen zu einem festen, sowohl in der Längs-, als in der Querrichtung steifen, zur unmittelbaren Aufnahme der Längs- und Querkräfte geeigneten Gerüst verbunden. (Vgl. die Abbildgn. 26 u. 27.) Durch diese Anordnung wird eine möglichst geringe Querschnittsfläche der Stützenfüsse ermöglicht, die ausserdem bei der festen Verbindung der Stützen mit den Hauptträgern, sowie bei geeigneter Wahl der Stützweiten und der Entfernung der Hauptträger in der regelmässigen Viaduktstrecke keine Verankerung mit den Fundamenten nöthig haben, sodass diese nur solcher Abmessungen bedürfen, um die Stützendrücke auf den Baugrund zu übertragen.
Auf der 11-13 m breiten Mittelromenade der Skalitzer Strasse konnte die Schienenoberkante auf 4,5 m über Strasse gesenkt werden (nach früherem ist unter den Viadukten mit Rücksicht auf die Ansprüche der Feuerwehr eine Lichthöhe von 2,80 m einzuhalten); hier ergab sich eine Stützentheilung von 12 m als zweckmässig. Für den Materialverbrauch der auf den Hauptträgern ruhenden Querträger erwies sich eine Entfernung der ersteren von 3,5 m als vortheilhaft, ein Maass, das auch zur Erzielung der nöthigen Standsicherheit in der Querrichtung ausreicht. In der schmaleren Gitschiner Strasse, deren Mittelpromenade zwischen 5 und 6 m Breite schwankt, steht die Fahrbahntafel, die in der geraden Strecke eine Breite von 7 m zwischen den Geländern erhalten musste (Gleisentfernung 3 m, Breite der Betriebsmittel 2,3 m, also Spielraum beiderseits 0,85 m), in die beiderseitigen Fahrdämme über. Schienen-Oberkante liegt hier 6 m über der Strasse. Die günstigste Stützweite ergab sich zu 16,5 m; die Hauptträger-Entferung von 3,5 m reichte noch gerade aus. Längs des Landwehrkanals vom Halleschen Ufer schliesslich, wo die Hochbahn dem Laufe des Kanals auf dem wasserseitigen, sogen. grünen Streifen folgt, war mit Rücksicht auf die Kreuzung der Brückenrampen an der Grossbeeren- und Möckern-Strasse eine grössere Höhe von 7,5 m erforderlich, was eine Vergrösserung der Hauptträger-Entfernung bis 3,9 m von Mitte zu Mitte bedingte. Die Stützweite wurde hier zu 21 m gewählt, da hier die Gründungen schwieriger sind also die Gründungskosten einen wesentlichen Antheil der Gesammtkosten ausmachen.

In Abbildg. 27 sind die Einzelheiten des Normalviaduktes von 21 m Stützweite zur Darstellung gebracht. (Nicht zutreffend ist dabei die Ausbildung des Fusses mit einer einfachen Platte, die nur bei den 12 und 16,5 m weit gespannten Viadukten vorkommt; hier sind Kugelgelenke ausgeführt.) Die Hauptträger haben eine Feldtheilung von 1,5 m erhalten. Da die Schienen zwar auf hölzernen Querschwellen, aber unmittelbar auf den Querträgern ruhen, also ebenfalls 1,5 m freitragen müssen, haben sie die grosse Höhe von 18 cm auf der ganzen östlichen Strecke (bis zur Kreuzung des Landwehrkanales hinter der Möckern-Brücke) erhalten müssen. Zwischen den Querträgern bilden stehende Tonnenbleche von 3 mm Stärke den dichten Schluss der Fahrbahn. Der auf diesen ruhende Kies dient hier lediglich zur Schalldämpfung, nicht als Unterbettung der Gleise. Die bewegliche Auflagerung der eingefügten Zwischenlager ist bei diesem Viadukt dadurch hergestellt, dass sich das Trägerende zwischen die aufgespaltenen Endstützen der Kragträger einschiebt und dort mit. Gleitlager aufgelagert ist (vergl. Äbbildg. 27e). Im übrigen ist die Stützenbildung, die Querversteifung der Stützen und der Hauptträger unter einander aus der Abbildung klar ersichtlich. Hervorzuheben ist nur noch, dass alle Querschnitte, auch die gezogenen, steif ausgebildet sind, um klirrende Geräusche im Betriebe zu vermeiden.
Das Gewicht des flusseisernen Viadukt-Aufbaues der östlichen Strecke beträgt bei 12 m Stützweite 1,2 t für 1 m, bei 16,5 m Stützweite 1,4 t und bei 21 m Stützweite schliesslich 1,8 t.
Der Aufbau der Viaduktstrecke im Westen auf der breiten Mittelpromenade der Bülow-Strasse (vgl. Abbildg. 26) hat ebenfalls eine Spannweite von etwa 12 m (12,4) erhalten. Er unterscheidet sich in seiner Ausbildung von dem östlichen zunächst grundsätzlich dadurch, dass die Schienen mit ihren hölzernen Querschwellen in der Kiesbettung der Fahrbahn, nicht auf den Querträgern ruhen. Die Schienen haben daher nur 11,5 cm Höhe. Die in 1,50 m Entfernung angeordneten Querträger sind mit hängenden Tonnenblechen verbunden, die also hier die volle Verkehrslast aufzunehmen haben und dementsprechend 7 mm stark sind. Die Ausbildung des Viaduktes unterscheidet sich ferner durch die gespreizte Stellung der Stützen (Winkel von 8° 7′ 27′ gegen die Lothrechte) und demgemäss auch geneigte Lage der Hauptträger, die ausserdem in 3,9 m Entfernung gelagert sind. Durch diese Anordnung konnten die Auflagerpunkte der Stützen in die zu beiden Seiten der Promenade befindlichen Rasenstreifen verlegt und somit die Promenade in voller Breite für den Verkehr freigehalten werden. Um bei dieser Spreizung der Stützen die Innenansicht der Viadukte möglichst gefällig zu gestalten, sind alle Querversteifungen bogenförmig gekrümmt worden (vgl. die Innenansicht des Viaduktes in nächster Nummer). Die bewegliche Verbindung der eingehängten Zwischenträger und der Kragträger ist in der gleichen Weise wie bei den 12 m weit gespannten Viadukten der östlichen Strecke durch Bolzengelenke gebildet, deren Gestaltung aus den Schnitten i-k bis p-q der Abbildg. 26 hervorgeht.
Selbstverständlich ist die Fahrbahntafel überall über den beweglichen Auflagern durchschnitten. Die I-förmigen Querträger sind durch zwei ][-Eisen ersetzt, welche den Abschluss der Kiesbettung bilden. Das Eisengewicht dieses Viaduktes, der infolge der erheblich schwereren Kiesbettung nicht unbeträchtlich kräftiger als auf der östlichen Strecke konstruirt werden musste, stellt sich für das Ifd. m auf 1,65 t.
Diese regelmässigen Viaduktstrecken werden einerseits an den Haltestellen, auf die wir später zurückkommen, und andererseits häufig durch Strassenzüge unterbrochen, welche eine grössere Lichthöhe und ausserdem eine den Fahrdämmen entsprechende grössere Stützweite der Ueberbrückungen erfordern, die bei kleineren Weiten ohne, bei grösseren mit Zwischenstützen hergestellt sind. Nur in der hochgelegenen Strecke in der Gitschiner Strasse bedingen einige Unterführungen – Prinzen-, Brandenburger- und Alexandrinen-Strasse – keine Aenderung des Ueberbaues, sonst sind überall die Hauptträger über die Fahrbahn in rd. 6-7 m Entfernung von Mitte zu Mitte gelegt und an einzelnen Stellen als Blechträger, an anderen als Parallelträger, meist aber als Halbparabelträger ausgebildet. Ausserhalb der Hauptträger sind dann stets beiderseits Fusswege, die mit Monier-Konstruktion abgedeckt sind, angeordnet. Da die Lichthöhe über der Strasse 4,55 m betragen muss, die Konstruktionshöhe sich auf 0,75 m stellt, so liegt Schienenoberkante nur 5,3 m über der Strasse. Interessant sind bei diesen Ueberbrückungen die Auflagerungen der Endträger der anschliessenden Viadukte, die vielfach in den Endquerträgern der Brücken eingebaut sind.
Schwieriger werden die Verhältnisse, wenn es sich nicht um einfache Strassenkreuzungen, sondern um die Ueberschreitung von platzartigen Erweiterungen am Treffpunkt verschiedener Strassenzüge handelt, wie namentlich am Lausitzer Platz, Kottbuser Thor und Wasserthor. Hier musste bei der Stützenstellung in entsprechender Weise Rücksicht genommen werden auf die verschiedenen Verkehrsrichtungen, was z. Th. nicht ohne eine zweckentsprechende Neueintheilung des Platzes, durch Umformung, Beseitigung oder Neuherstellung von Inselperrons möglich war. Wir geben in Abbildg. 25 in Höhen- und Lageplan als ein Beispiel der Führung und Eintheilung der Viaduktstrecke zwischen Elisabeth- und Luisen-Ufer mit der Kreuzung des Thorbeckens wieder. Hier ist die Anordnung eines unter der Fahrbahn liegenden Fischbauchträgers bemerkenswerth, eine Form, die sich nur noch im Anschlussdreieck, dem wir eine besondere Beschreibung widmen, wiederfindet. Ebenso kommen wir auf die beiden grossen Brückenbauwerke an der Kreuzung des Landwehr-Kanals nebst Anhalter Bahn, sowie weiterhin des Potsdamer Aussenbahnhofes noch besonders zurück. –
b) Das Anschlussdreieck auf dem Gelände des alten Dresdener Güterbahnhofes nebst den Ueberbrückungen des I.andwehrkanals und der Anhalter Bahn, sowie des Potsdamer Aussenbahnhofes.
Die interessanteste und in ihrer Ausgestaltung schwierigste Strecke der Hochbahn ist diejenige des sogenannten Anschlussdreiecks auf dem eisenbahnfiskalischen Gelände des alten Dresdener Güterbahnhofes, mit den Anschlussstrecken bis zur Dennewitz-Strasse und dem Halleschen Ufer, sowie bis zur Ueberschreitung des Landwehrkanals im Zuge der Rampe nach dem Potsdamer Platz. Die Uebersicht dieser Strecke ist in einem Plane im Jahrg. 1897 No. 103 zur Darstellung gebracht worden, der bezüglich der Gesammtanordnung der Lage noch zutrifft, in den Höhenverhältnissen dagegen wesentlich umgestaltet worden ist. Wir beschränken uns darauf, auf diesen Plan zu verweisen.
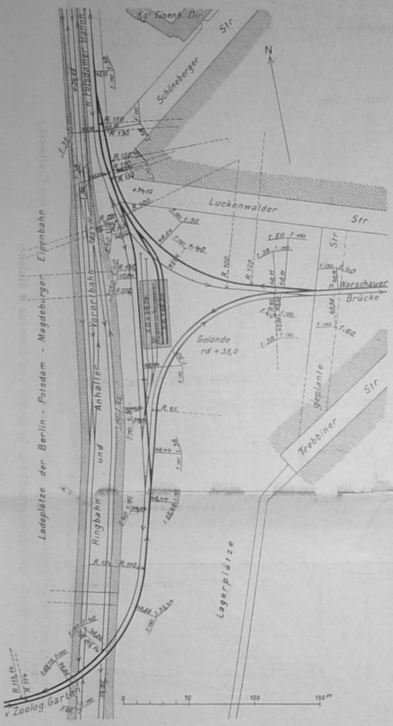
Die Hochbahn überschreitet hiernach, vom Halleschen Ufer abzweigend, die Anhalter Bahn und den Landwehrkanal in einer Brückenspannung (vgl. die Abbildgn.), kreuzt das Tempelhofer Ufer, durchbricht den Häuserblock an der Ecke dieser und der Trebbiner Strasse, legt sich auf eine kurze Strecke parallel zur Luckenwalder Strasse und spaltet sich dann auf dem eisenbahnfiskalischen Gelände in 2 Arme, von denen der eine sich, mit einer Kurve nach Norden abschwenkend, neben die Ringbahn legt, neben dieser den Landwehrkanal überschreitet und dann zum Potsdamer Platz herabsteigt, während der andere nach Süden, ebenfalls parallel zur Ringbahn abschwenkt, diese dann in einer nach Westen gerichteten Krümmung überschreitet und weiterhin sämmtliche Gleise des Potsdamer Aussenbahnhofes mit einem weitgespannten Brückenbauwerk kreuzt, um schliesslich nach Durchbrechung des Häuserblockes an der Ecke der Dennewitz- und Bülow-Strasse wieder in einen offenen Strassenzug einzutreten. Zwischen den beiden Zweigen ist neben der Ringbahn eine Verbindung hergestellt, sodass die 3 Zweige nunmehr ein geschlossenes Dreieck bilden und so eine unmittelbare Gleisverbindung hergestellt ist: einerseits in der Richtung Warschauer Brücke und Zoologischer Garten bezw. Potsdamer Platz, und andererseits zwischen Zoologischem Garten und Potsdamer Platz und umgekehrt. Der zwischen den 3 Zweigen verbleibende freie Raum ist ausgenutzt zur Anlage eines Wagenschuppens, ausserdem ist hier eine Stellwerksanlage eingefügt, welche die Weichen und Signale des Anschlussdreiecks bedient.
Diese dreifache Verzweigung bedingt die Anlage von 6 Weichen (abgesehen von den Anschlussweichen des Wagenschuppens) und 3 Kreuzungen. Letztere durften, um einen Betrieb von der geplanten Zugdichte überhaupt zu ermöglichen, nicht in gleicher Schienenhöhe hergestellt werden. Es musste daher an jeder dieser Kreuzungen das Gleis der einen Richtung soweit gehoben, bezw. das andere soweit gesenkt werden, dass die nöthige Licht- und Konstruktionshöhe verblieb, um das eine Gleis unter dem anderen hindurchzuführen. Es sind also alle Kreuzungen (auch die der Wagenschuppengleise) schienenfrei hergestellt.
Bedeutende Brückenbauwerke erforderten die Ueberschreitung des Potsdamer Aussenbahnhofes und der Anhalter Bahn. Im ersteren Falle mussten einige 20 Gleise, die sich zum Theil noch unter der Brücke verzweigen, mit einer Spannung in schräger Richtung überschritten werden, für welche nur eine eiserne Zwischenstütze zugelassen war. Für letztere war noch die erschwerende Bedingung gegeben, dass sie, mit Rücksicht auf eine etwaige spätere Veränderung des Gleisplanes, innerhalb 9 m verschiebbar sein musste. Es ergab sich hieraus ein Träger von 142,296 m Spannweite, dessen allgemeine Anordnung in Aufriss und Grundriss in Abbildg. 41 dargestellt ist. Die Zwischenstütze theilt diese Spannweite zur Zeit in 60,313 bezw. 81,983 m. Die Verschieblichkeit der ausserdem noch schräg zur Brücke in der Gleisrichtung stehenden Zwischenstütze ist dadurch ermöglicht, dass in den betreffenden Hauptträgerfeldern schwere Träger am Untergurt untergebaut sind, mittels deren die Brückenlast auf die Stütze übertragen wird. Die beiden Hauptträger sind hier an mehreren Knoten durch kräftige Portale ausgesteift. Das Bauwerk zeigt im übrigen keine besonders hervorzuhebenden Eigenthümlichkeiten. Die Untergurte sind ╨, die Obergurte ][, die Vertikalen I-förmig. Die Streben sind ][-förmige Kasten mit Gitterwerk-Verbindung. Die Montage konnte von festen Rüstungen aus erfolgen. Das Gewicht der Brücke stellt sich auf 650 t, d. h. auf 4,6 t für 1 m.
Interessanter namentlich durch ihre schwierige Montage ist die Ueberbrückung des Landwehrkanales nebst der Anhalter Bahn. Der Kanal wird hier von der Hochbahnlinie unter sehr spitzem Winkel gekreuzt, sodass sich, da eine Zwischenstütze im Kanal natürlich ausgeschlossen war, eine Stützweite der Ueberbrückung von rd. 71,5 m (in der Bahnaxe gemessen) ergab. Die Gesammtansicht des Bauwerkes nebst den auf hohen Pendeljochen ruhenden Viaduktanschlüssen am Halleschen Ufer bezw. mit der Ueberbrückung des Tempelhofer Ufers zeigt unsere Abbildg. 40, während das System in Abbildg.42 wiedergegeben ist. Die Brücke ist auf der Seite des Tempelhofer Ufers auf einen Steinpfeiler aufgelagert, während am Halleschen Ufer unmittelbar vor der Ueberführung der Anhalter Bahn über den Landwehrkanal mit Rücksicht auf die Freihaltung der Ladestrasse daselbst nur ein eisernes Pendeljoch angeordnet werden konnte. Auf diesem Joche sind die beweglichen Lager angeordnet, und zwar beide längsverschieblich. Das feste Auflager ist auf dem massiven Pfeiler vorgesehen, dessen zweites Auflager längsverschieblich und seitlich verschieblich ist. Die Uebertragung der Längskräfte zwischen dem pendelnden Viadukt und der Brücke wird durch einen senkrechten Zapfen vermittelt, der vom Endquerträger der Brücke in den Portalbalken eingreift. Auf diesen Punkt wird auch der Winddruck durch den Spitzenwindverband der Fahrbahntafel übertragen. Die Brückenkonstruktion erscheint trotz der nicht unbedeutenden Spannung und der schweren Fahrbahnkonstruktion mit Kiesbettung verhältnissmässig leicht. Sowohl Unter- wie Obergurt zeigen nur einfache ┴-Form. Der Querschnitt im Endfelde besitzt ein Stehblech 320 . 20, 2 Winkel 150 . 150 . 14 und 1 Lamelle 400 . 10, in der Mitte ein Stehblech 420 . 20, das am Rande noch mit Flacheisen 200 . 14 beiderseits besäumt ist, 2 Winkel 150 . 150 . 14 und 4 Lamellen von 500 mm Breite und 10 bezw. 12 mm Dicke. Der Querschnitt schwankt dabei zwischen 184 und 660 qcm. Die Diagonalen und Vertikalen sind aus übereckgestellten Winkeln hergestellt, während die Portale einen kräftigen kreuzförmigen Querschnitt zeigen, bestehend aus 2 Stehblechen 480 . 20, 4 inneren Winkeln an der Kreuzung 75 . 75 . 10 und 8 äusseren Winkeln an den Kreuzarmen 75 . 90 . 10. Gesammtgewicht der Brücke 343 t, also rd. 5 t auf 1 m. Die schmierige Montage nimmt einen erheblichen Theil der Kosten in Anspruch.
Der Montage-Vorgang wird durch die Abbildg. 43 und 44 erläutert. Da mit Rücksicht auf die Schiffahrt Rüstungen im Wasser nur unmittelbar an den Ufern zugelassen waren und die Anhalter Bahn ohne jede Betriebsstörung überbrückt werden musste, so war es nöthig, 2 verschiedene Montagerüstungen herzustellen. Zur Ueberbrückung des Landwehrkanales wurde eine eiserne Fachwerksbrücke (vgl. Abbildg. 43) in ihrer richtigen Höhenlage auf Holzrüstungen montirt, die auf 4 Prähmen ihre Stütze fanden. Diese Montage erfolgte dicht am Ufer, also ohne Schiffahrtsstörung.
Dann wurden die beiden äusseren Prähme herausgenommen, sodass die Enden der Fachwerksbrücke frei schwebten, und nunmehr wurde das Ganze so geschwenkt, dass die Enden des Trägers ihre Stütze auf den vorher eingerammten Pfahljochen am linken Ufer bezw. neben der Anhalter Bahn am rechten Kanal-Ufer fanden. Die Ueberbrückung der Anhalter Bahn selbst erfolgte dann nach Abbildg. 44 durch Vorstreckung einer eisernen Rüstung vom rechten Ufer her, bezw. vom Ende des vorgenannten Fachwerkträgers aus.
Zu bemerken ist noch, dass dieses Brückenbauwerk auch ein dekoratives Gewand in moderner Formensprache erhält, das aber zur Zeit erst zum Theil angebracht ist, sodass wir auf eine Wiedergabe verzichten müssen. (Abbildg. 40 zeigt einen Theil der Brücke zwecks Anbringung dieser Ausschmückung eingerüstet.)
Diese Artikelserie erschien zuerst am 12., 19., 26.10., sowie am 13., 27.11., 07.12. & 11.12.1901 in der Deutsche Bauzeitung. Teil VII. erschien 1902.
III. Die Hochbahn






















